South Park Design Build
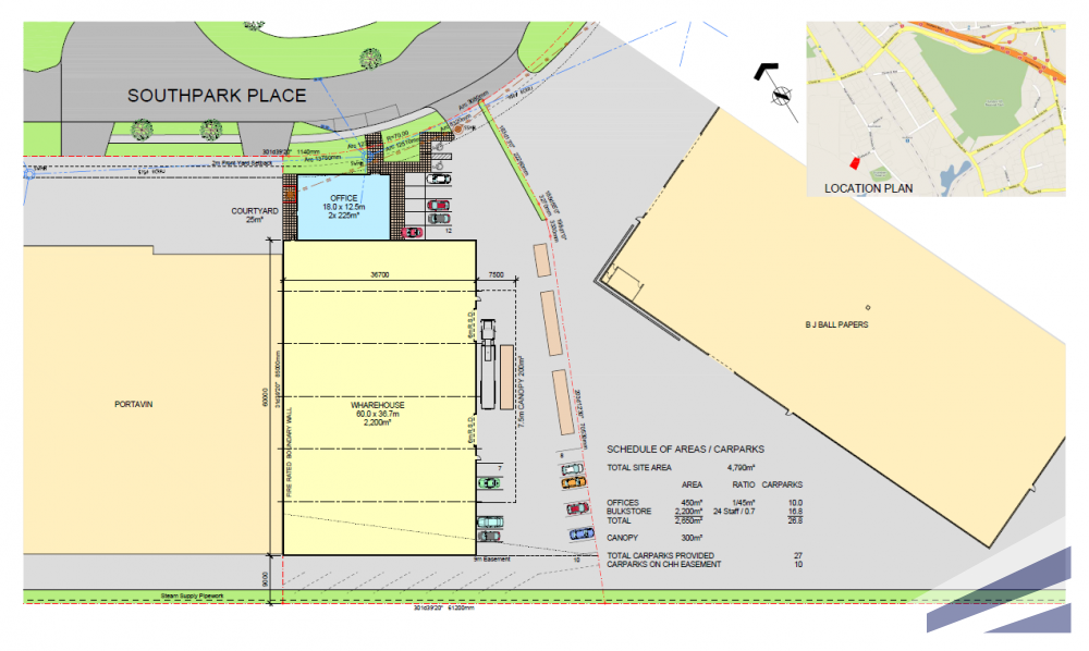
Southpark corporation has successfully completed a new design build office and logistics premises for fci visa global logistics ltd at 5 southpark place penrose.

South park design build. South park encourages the exchange of ideas between owner architect designer and tradesperson. View some of our recent work below. Over the last twenty years eric adelman has managed his project portfolio with a collaborative team of the most proficient and skilled craftspeople. The 10m high warehouse provides efficient utilisation for 3rd party pallet storage.
South park has completed over 200 stunning residential design build projects in the past decade. Along with superb efficiency and meticulous organization south park design build pays tremendous attention to every detail which is the core of every successful project. The team is honest collaborative and professional. South park design build is an integrated design build firm based in toronto canada.
The site has great potential for multiple small office and warehouse units. The highest caliber of work happy tradespeople and thrilled clients. Do you have an old toronto home that needs more space a modern look or a new addition. Work with south park.
Over 25 million monthly unique users rated top rated home building remodeling and design professionals in canada and around the world toronto on canada january 19 2015 south park design build of toronto on has been awarded best of houzz for design customer satisfaction by houzz the leading platform for home remodeling and design. South park watch full episodes clips more south. South park design build has been wonderful to work with over the past years. The results speak for themselves.
The highest caliber of work happy tradespeople and thrilled clients. South park design build is an integrated design build firm based in toronto canada. Web design by launch agent. Filter results property status.
The results speak for themselves. South park is an integrated design build firm in toronto. Over the last twenty five years eric adelman has managed his project portfolio with a collaborative team of the most proficient and skilled craftspeople. Over the last twenty five years eric adelman has managed his project portfolio with a collaborative team of the most proficient and skilled craftspeople.














































.jpg)



































